94825 Overseas Hwy #262 ,Residential, Key Largo Ocean Resort Co for Sale & Rent
94825 Overseas Hwy #262 for Sale & Rent




Price $299,000.00
- Lot size 1658
- Year Build
- Waterfront
- Zip 33037
- Style
- Parking Description
- Pool Yes
- Status Active
Description
Discover an incredible opportunity to build your dream home in Key Largo Ocean Resort, a premier oceanfront community located directly on the Atlantic Ocean. This gated neighborhood offers 24/7 security, ensuring peace of mind whether you’re here full-time or enjoying the Keys as a getaway. Owners enjoy resort-style amenities including a community marina, oceanfront pool, tennis courts, & basketball court. Perfectly situated near world-class boating, diving, and dining—this lot provides the ideal setting to create your own slice of paradise in the Florida Keys.
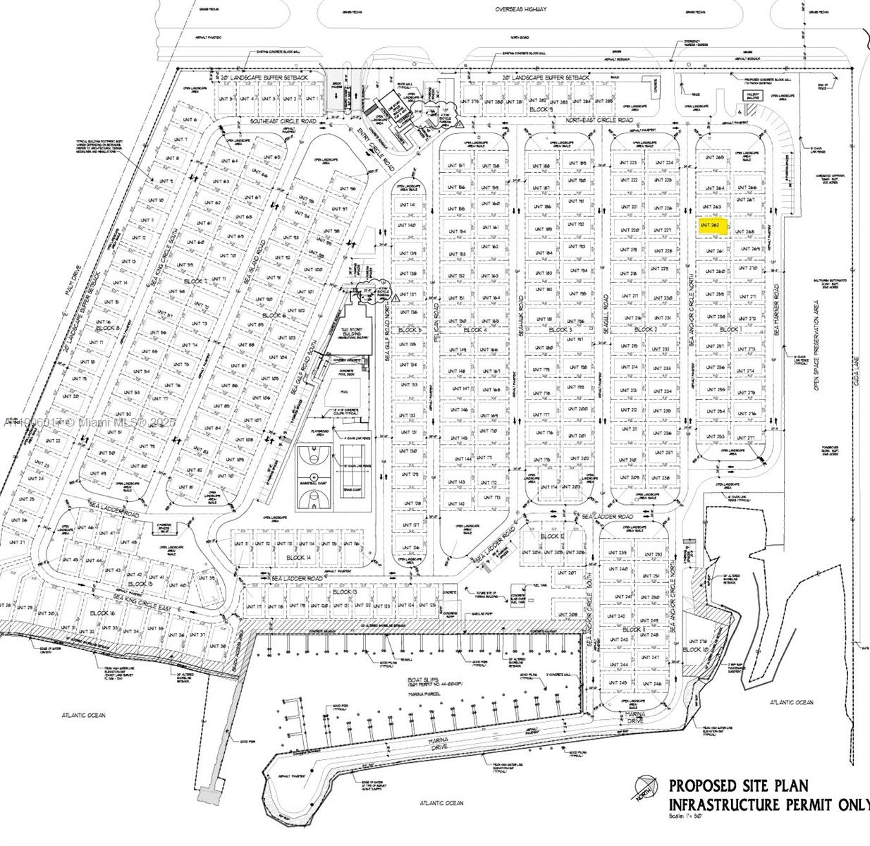
UNIT 262 KEY LARGO OCEAN RESORT CONDOMINIUM OR2611-1071 OR2925-1076 OR2926-0059 OR2926-0059 OR3036-1662 OR3121-636 OR3122-1543 OR3264-1848
Less Than 1/4 Acre Lot, Other
Discover an incredible opportunity to build your dream home in Key Largo Ocean Resort, a premier oceanfront community located directly on the Atlantic Ocean. This gated neighborhood offers 24/7 security, ensuring peace of mind whether you’re here full-time or enjoying the Keys as a getaway. Owners enjoy resort-style amenities including a community marina, oceanfront pool, tennis courts, & basketball court. Perfectly situated near world-class boating, diving, and dining—this lot provides the ideal setting to create your own slice of paradise in the Florida Keys.
City:Key Largo,List A O R:A-Miami Association of REALTORS,Tax Year:2024,Latitude:25.043884,List Price:299000,Listing Id:A11906017,Longitude:-80.4900046,Mls Status:Active,Current Use:1:Other Usage,Postal Code:33037,Street Name:Overseas Hwy #262,Coordinates:1:25.043884,Lot Features:1:Other,Photos Count:4,Building Name:KEY LARGO OCEAN RESORT CO,Days On Market:96,Lot Size Acres:0.038,Lot Size Units:Square Feet,M I A M I R E_ Area:98 Florida Keys,M L S Area Major:Key Largo Ocean Resort Co,On Market Date:2025-10-27,Parcel Number:00483401-026200,Property Type:Land/Boat Docks,Street Number:94825,Public Remarks:Discover an incredible opportunity to build your dream home in Key Largo Ocean Resort, a premier oceanfront community located directly on the Atlantic Ocean. This gated neighborhood offers 24/7 security, ensuring peace of mind whether you’re here full-time or enjoying the Keys as a getaway. Owners enjoy resort-style amenities including a community marina, oceanfront pool, tennis courts, & basketball court. Perfectly situated near world-class boating, diving, and dining—this lot provides the ideal setting to create your own slice of paradise in the Florida Keys.,County Or Parish:Monroe County,Direction Faces:East,Expiration Date:2026-11-01,List Office Name:Luxe Properties,Standard Status:Active,Living Area Units:Square Feet,Major Change Type:Back On Market,Postal Code Plus4:3898,Property Sub Type:Residential,State Or Province:FL,Subdivision Name:KEY LARGO OCEAN RESORT CO,Tax Annual Amount:2105,Unparsed Address:94825 Overseas Hwy #262, Key Largo FL 33037,Listing Agreement:Exclusive Agency,M I A M I R E_ Blogging:1,Building Area Units:Square Feet,Leasable Area Units:Square Feet,Lot Size Square Feet:1658,M I A M I R E_ Flood Zone:AE,VE,Original List Price:325000,Previous List Price:325000,I D X Participation Y N:1,M I A M I R E_ Last Status:Expired,M I A M I R E_ N A R Rules Y N:1,Showing Contact Type:1:Call Listing Office,Syndication Remarks:Discover an incredible opportunity to build your dream home in Key Largo Ocean Resort, a premier oceanfront community located directly on the Atlantic Ocean. This gated neighborhood offers 24/7 security, ensuring peace of mind whether you’re here full-time or enjoying the Keys as a getaway. Owners enjoy resort-style amenities including a community marina, oceanfront pool, tennis courts, & basketball court. Perfectly situated near world-class boating, diving, and dining—this lot provides the ideal setting to create your own slice of paradise in the Florida Keys.,Listing Contract Date:2025-10-27,Originating System I D:miamire,Public Survey Section:13,Showing Instructions:Call Listing Agent,Call Listing Office,Street Number Numeric:94825,Tax Legal Description:UNIT 262 KEY LARGO OCEAN RESORT CONDOMINIUM OR2611-1071 OR2925-1076 OR2926-0059 OR2926-0059 OR3036-1662 OR3121-636 OR3122-1543 OR3264-1848,M I A M I R E_ Current Price:299000,Originating System Name:Miami Association of REALTORS®,M I A M I R E_ Geographic Area:Other Geographic Area (Out Of Area Only),M I A M I R E_ Internet Remarks:Build your dream home in gated Key Largo Ocean Resort with marina, pool, gym, tennis, and 24/7 security—resort living on the Atlantic!,M I A M I R E_ Parcel Number M L X:0262,Contract Status Change Date:2025-10-27,Internet Address Display Y N:1,M I A M I R E_ Ok To Advertise List:Yes - Attribution NOT Required,M I A M I R E_ Agent Alternate Phone:786-479-7822,Internet Entire Listing Display Y N:1,M I A M I R E_ Address Internet Display:94825 Overseas Hwy #262,
- Price $299,000.00
- Price Change: 2025-12-17
- Lot size sq. ft.
- Price per sq.ft. $
- Year Build
- Waterfront
- View
- Pool Yes
- Style
- Construction
- Parking Description
- Flooring Type
- Property Type Land/Boat Docks
- Status Active
- Listed 2025-12-17
- Days on Market 197
- Furnished
- City Key Largo
- Zip 33037
- State Florida
- Subdivision
- Development Name KEY LARGO OCEAN RESORT CO
- HOA Fees
- Taxes 2105
- Taxes Year 2024
En
Ru
Es